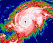
Am 25. August 2017 trifft Hurrikan "Harvey" mit zerstörerischer Kraft auf die Golfküste der USA. Überschwemmungen, entwurzelte Bäume, Stromausfall: Houston versinkt im Chaos! Dutzende Menschen sterben. Die Schäden gehen in die Milliarden. Während die Bewohner von Texas noch mit den Aufräumarbeiten beschäftigt sind, bahnt sich bereits der nächste verheerende Wirbelsturm seinen Weg Richtung Festland. Anfang September fegt "Irma" über die Florida Keys. Der Kategorie-5-Hurrikan erreicht Windgeschwindigkeiten von fast 300 km/h. Wie entstehen derartige Mega-Stürme? Gibt es eine Verbindung zum Klimawandel? Meteorologen wagen sich ins Auge des Sturms, um eine Prognose für die Zukunft zu treffen...
(Sky)
Daten
Länge: ca. 50 min.
| Deutsche TV-Premiere | So, 29.10.2017 (Discovery Channel) |
| Originalsprache: | Englisch |
Kostenlose Start- und Streambenachrichtigung:























